Super tajfun Haiyan pustoši po Filipinih
8. nov. 2013 9:10 Osveženo: 10:00 / 09. 8. 2017
            
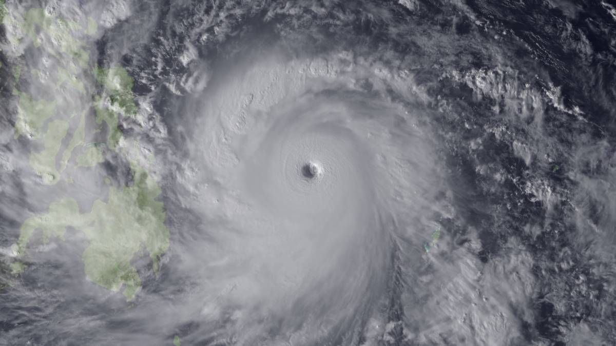
        Filipine je danes dosegel eden najnevarnejših tajfunov v zadnjih desetletjih, ki je po prvih podatkih zahteval najmanj tri smrtne žrtve. Prav tako je moralo zaradi tajfuna Haiyan domove zapustiti več kot pol milijona ljudi, poročajo tuje tiskovne agencije.
Haiyan, čigar veter dosega najvišjo hitrost 235 kilometrov na uro, sunki vetra pa dosegajo celo hitrost do 275 kilometrov na uro, je davi dosegel vzhodno obalo Filipinov.
	Haiyan, ki so ga že označili za super tajfun, naj bi bil zaradi visoke hitrosti, s katero piha veter, nevarnejši od tajfuna Bopha, ki je na otoku Mindanao lani zahteval 1800 smrtnih žrtev, poroča nemška tiskovna agencija dpa.
	Zaradi tajfuna je prišlo do izpada električne energije in telekomunikacijskih povezav. Zaprte so šole in uradi ter 12 letališč, prekinjen je tudi trajektni promet.
